Alerta de tornados en Florida
El Centro Nacional de Huracanes de EEUU, con sede en Miami, emitió una alerta de tornados asociados al huracán Milton.
"Son probables varios tornados hoy y esta noche a través de partes del centro y el sur de Florida", dijo el servicio meteorológico.
"Evacúen ahora, mientras aún pueden hacerlo"
El director del Centro Nacional de Huracanes de EEUU, Michael Brennan, brinda una actualización EN VIVO sobre el gran huracán Milton.
"Por favor, evacúen ahora, mientras aún pueden hacerlo... Pongan a salvo sus vidas", urgió Brennan a los residentes del estado de Florida en el paso del ciclón.
Síguelo aquí:
El meteorólogo Alfredo Finalé actualiza para Martí Noticias la situación del huracán Milton
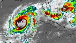
El poderoso huracán Milton se acerca rápidamente a Florida y está generando fuertes marejadas e inundaciones costeras en el litoral norte occidental de Cuba, incluyendo el Malecón habanero.
Peligro extremo: Se esperan marejadas ciclónicas destructivas con inundaciones de más de 10 pies a lo largo de la costa oeste y el centro de la Península de Florida.
¡Es crucial mantenerse informado y seguir las recomendaciones de las autoridades para protegerse! Este fenómeno traerá consigo inundaciones masivas y condiciones potencialmente catastróficas.
En El Guayabo, Pinar del Río, no han sentido los embates de Milton
Residentes de la comunidad El Guayabo, a pocos kilómetros de la ciudad de Pinar del Río, no han sentido la intensidad del huracán Milton, cuya trayectoria se encuentra en mares próximos al occidente de Cuba, dijo a Martí Noticias la activista Daudi Hermelo, quien allí reside.
Escúchala aquí: